조황관리HOME / 조황관리 / 상세정보

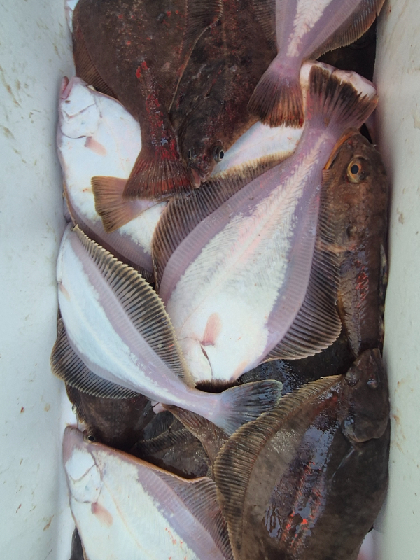
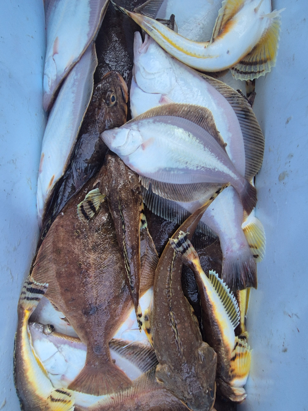
제목 : 28일 공현진항 안슨장호 어구가자미 조과입니다.
등록일 : 2025-12-28

























































안슨장입니다 
오늘은 어군이 짧아서 좀 힘든 날였네요. 그래도 어군 들어오면 우당탕탕~~
아쉽긴해도 사이즈는 굿굿이네요. 
화요일/수요일 자리 여유있으니 문의 주세요. 
안슨장 01071721302 전화주시면 친절히 상담해드리겠습니다. 
감사합니다. 


======= 블랙이글스호 예약안내 ==========

45년 베테랑! 공현진항 블랙이글스호
항상 최선을 다해 모시겠습니다.

☎ 휴대전화 : 010-7172-1302
☞ 실시간 예약 : http://eagles.sunsang24​.com
■ 오시는길 : 강원도 고성군 죽왕면 공현진리 공현진항 안가네가족횟집
■ 계좌안내 : 수협 / 001071721302
20240117_093745.jpg


cacb83270b9844d2b87182320465be9af2cda9415bd883b2f752a02ad562e799_1.jpg


Top