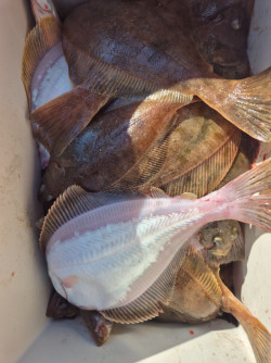
공현진항 안슨장호입니다. 오늘은 주의보고요, 어제자 어구가자미 음청났네요. 사이즈 너무 좋고, 어군이 10미터 까지 치고 올라오면서 입질 장난아녔네요. 1등이 35킬로, 25킬로, 초과차가 많이 나지만 그래도 사이즈, 마릿수 베리굿였습니다. 익일 자리 있으니 문의 주세요. 안슨장 01071721302 전화주시면 친절히 상담해 드리겠습니다. 감사합니다. ======= 블랙이글스호 예약안내 ==========45년 베테랑! 공현진항 블랙이글스호 항상 최선을 다해 모시겠습니다. ☎ 휴대전화 : 010-7172-1302☞ 실시간 예약 : http://eagles.sunsang24.com■ 오시는길 : 강원도 고성군 죽왕면 공현진리 공현진항 안가네가족횟집■ 계좌안내 : 수협 / 001071721302
공현진항 안슨장호입니다.요즘 어군이 잘 유지되면서 사이즈 완전 굿이네요.11시전에 벌써 쿨러 70퍼 이상 채우신분도 계시네요.평일 날씨 좋고 지속출조하니 문의주세요.안슨장 01071751302 전화주시면 친절히 상담해 드립니다.감사합니다.======= 블랙이글스호 예약안내 ==========45년 베테랑! 공현진항 블랙이글스호 항상 최선을 다해 모시겠습니다. ☎ 휴대전화 : 010-7172-1302☞ 실시간 예약 : http://eagles.sunsang24.com■ 오시는길 : 강원도 고성군 죽왕면 공현진리 공현진항 안가네가족횟집■ 계좌안내 : 수협 / 001071721302
공현진항 안슨장호 입니다.어군 형성도 굉장히 좋았고 무엇보다 씨알이 대박이네요.줄줄나오네요.평일 날씨굿이고 한파도 좀 풀린다네요.매일출조하고 자리 여유있으니 문의주세요01071721302======= 블랙이글스호 예약안내 ==========45년 베테랑! 공현진항 블랙이글스호 항상 최선을 다해 모시겠습니다. ☎ 휴대전화 : 010-7172-1302☞ 실시간 예약 : http://eagles.sunsang24.com■ 오시는길 : 강원도 고성군 죽왕면 공현진리 공현진항 안가네가족횟집■ 계좌안내 : 수협 / 001071721302
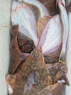
공현진항 안슨장입니다. 오늘은 사이즈가 베리베리 굿였네요.마릿수도 좋았고, 어군이 꾸준히 나와줬습니다. 조과 편차는 좀 이었고요. 많이 잡으신분은 쿨러 거의다 채우신 분들도 있었네요.익일 몇자리 있고, 평일 날씨 좋네요. 한파도 어느정도 풀리는 상황이니 가자미 연 날리러 오세요. 예약문의 안슨장 01071721302 전화주시면 친절히 상담해 드리겠습니다. 감사합니다. ======= 블랙이글스호 예약안내 ==========45년 베테랑! 공현진항 블랙이글스호 항상 최선을 다해 모시겠습니다. ☎ 휴대전화 : 010-7172-1302☞ 실시간 예약 : http://eagles.sunsang24.com■ 오시는길 : 강원도 고성군 죽왕면 공현진리 공현진항 안가네가족횟집■ 계좌안내 : 수협 / 001071721302
공현진항 블랙이글스호선단 주말 어구가자미 출조모집합니다.금일 금요일까지 한파로 인한 휴무였고 주말부터 정상출조합니다. 자리 여유있으니 문의 주세요. 안슨장 01071721302 ======= 블랙이글스호 예약안내 ==========45년 베테랑! 공현진항 블랙이글스호 항상 최선을 다해 모시겠습니다. ☎ 휴대전화 : 010-7172-1302☞ 실시간 예약 : http://eagles.sunsang24.com■ 오시는길 : 강원도 고성군 죽왕면 공현진리 공현진항 안가네가족횟집■ 계좌안내 : 수협 / 001071721302
공현진항 안슨장입니다 한파가 와서 기온이 많이 떨어졌네요. 어제자 어구가자미 본 시즌이 시작한 마냥 어군이 50미터 권에서 20미터까지 치고 올라왔네요. 사이즈 너무 좋았고, 꾸준히 입질 왔습니다. 익일 까지 한파라 쉬고, 주말부터 정상출조합니다. 자리 여유있으니 문의 주세요. 안슨장 01071721302 전화주시면 친절히 상담해 드리겠습니다. 감사합니다. ======= 블랙이글스호 예약안내 ==========45년 베테랑! 공현진항 블랙이글스호 항상 최선을 다해 모시겠습니다. ☎ 휴대전화 : 010-7172-1302☞ 실시간 예약 : http://eagles.sunsang24.com■ 오시는길 : 강원도 고성군 죽왕면 공현진리 공현진항 안가네가족횟집■ 계좌안내 : 수협 / 001071721302
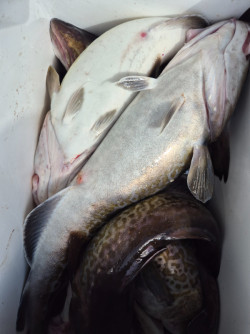
안녕하세요 블랙이글스호 찰리선장입니다 당일 대구라바조항 그럭저럭이네요배전체에서 20마리 좀넘게 올라왔네요그래도 잔바리는 4마리정도 나머지는 5짜~6짜들만 올라와서 마음에 워로를 삼았습니다 흘림낚시를해야하는데 요즘 바람이 마니불어서 배를 잡다보니 조항도 떨어지고 대구 뜰채질해서 조사님 쿨러에 넣어드리고 개별 덩어리 사진도찍어야 하는데 제대로 서비스가 잘안되네요 이점 양해 부탁드립니다 그래서오늘도 사진 한방도 못찍었네요 언제가 될지 장담은 못하지만 빠른시일내에 사무장님을 모셔올 생각입니다블랙이글스호를 찾아주시는 조사님들에게 최상의 서비스를 제공하기위한 블랙의 마음입니다찰리선장 010-2128-0395 언제든 편하게 저나주세요======= 블랙이글스호 예약안내 ==========45년 베테랑! 공현진항 블랙이글스호 항상 최선을 다해 모시겠습니다. ☎ 휴대전화 : 010-7172-1302☞ 실시간 예약 : http://eagles.sunsang24.com■ 오시는길 : 강원도 고성군 죽왕면 공현진리 공현진항 안가네가족횟집■ 계좌안내 : 수협 / 001071721302
안슨장호 입니다 .금일 완전 초보 조사님들 모시고 다녀왓고요. 사이즈가 좋다보니 만쿨하신 조사님도 계시고, 그래도 반쿨이상들은 하셨네요. 익일 자리 여유있습니다. 문의 주세요. 안슨장호 01071721302 전화주시면 친절히 상담해 드리겠습니다. 감사합니다. ======= 블랙이글스호 예약안내 ==========45년 베테랑! 공현진항 블랙이글스호 항상 최선을 다해 모시겠습니다. ☎ 휴대전화 : 010-7172-1302☞ 실시간 예약 : http://eagles.sunsang24.com■ 오시는길 : 강원도 고성군 죽왕면 공현진리 공현진항 안가네가족횟집■ 계좌안내 : 수협 / 001071721302
안녕하세요 블랙이글스호 찰리선장입니다 당일 기상이 안좋을거란 예상으로 전날 취소하실분 하시고 꼭 출조하시고 싶은 조사님들만 5분 모시고 대구사냥 다녀왔습니다출조해서 2시간정도는 바람도 괜찮고 입질도 양호했습니다9시쫌 넘어가면서 바람도 터지고 예상했던데로 힘든 낚시했네요그래도 조사님들 마지매까지 최선을 다해주셔서 잘 마무리하고 다녀왔습니다 마니 잡으신분이 9마리정도 못잡으신분이2마리 했네요덩어리는 5마리정도고요내일은 기온이 너무떨어져서 조사님들 너무 고생하실까봐 고민끝에출항취소 결정했습니다 대구라바 문의 언제든 편하게 저나주세요찰리선장 010-2128-0395======= 블랙이글스호 예약안내 ==========45년 베테랑! 공현진항 블랙이글스호 항상 최선을 다해 모시겠습니다. ☎ 휴대전화 : 010-7172-1302☞ 실시간 예약 : http://eagles.sunsang24.com■ 오시는길 : 강원도 고성군 죽왕면 공현진리 공현진항 안가네가족횟집■ 계좌안내 : 수협 / 001071721302
어구가지미 다녀왔고요. 힘든 하루였네요. 어군이 있어도 입질 활성도가 최악이였네요. 그래도 중간중간 줄탈때 씨알이 좋네요. 조과 편차는 있어도 그래도 만족해 하시는 조사님들도... ㅎㅎㅎㅎㅎ암튼 끝날쯤 다다다 붙더라고요. 이번주 기상이 음청 안좋아질 가능성이 있고 그럼 또 가자미 우두두 들어올겁니다. 다음주 평일 자리 여유있으니 문의 주세요. 안슨장 01071721302 전화주시면 친절히 상담해 드리겠습니다 감사합니다. ======= 블랙이글스호 예약안내 ==========45년 베테랑! 공현진항 블랙이글스호 항상 최선을 다해 모시겠습니다. ☎ 휴대전화 : 010-7172-1302☞ 실시간 예약 : http://eagles.sunsang24.com■ 오시는길 : 강원도 고성군 죽왕면 공현진리 공현진항 안가네가족횟집■ 계좌안내 : 수협 / 001071721302
안녕하세요 블랙이글스호 찰리선장입니다 2일기상악화 3일~4일 조항은 안좋았습니다5일은 점검일 6일 당일조항은 잘잡으신분은 8마리 .평균3~4마리꽝1분 계셨습니다 꽝치신분은4마리 랜딩도중에 다빠져버렸습니다선장입장에서는 마니 안타까웠습니다요즘 기상도 안좋고 대구입질도 마니 예민한것같네요오실때는 꼭 어복챙기시고 보온에 신경쓰세요요즘바람이 마니불어서 배잡느냐구 조항사진을 못찍네요언제든 편하게 문의 저나주세요 찰리선장 010-2128-0395======= 블랙이글스호 예약안내 ==========45년 베테랑! 공현진항 블랙이글스호 항상 최선을 다해 모시겠습니다. ☎ 휴대전화 : 010-7172-1302☞ 실시간 예약 : http://eagles.sunsang24.com■ 오시는길 : 강원도 고성군 죽왕면 공현진리 공현진항 안가네가족횟집■ 계좌안내 : 수협 / 001071721302
공현진항 안슨장입니다. 어제자 조과고, 오늘은 정규휴무리 쉬는날 입니다. 익일 부터 정상출조하며 평일 자리 여유있으니 문의 주세요. 안슨장 01071721302 전화주시면 친절히 상담해 드리겠습니다. 감사합니다. ======= 블랙이글스호 예약안내 ==========45년 베테랑! 공현진항 블랙이글스호 항상 최선을 다해 모시겠습니다. ☎ 휴대전화 : 010-7172-1302☞ 실시간 예약 : http://eagles.sunsang24.com■ 오시는길 : 강원도 고성군 죽왕면 공현진리 공현진항 안가네가족횟집■ 계좌안내 : 수협 / 001071721302
안슨장입니다. 오늘도 출조다녀왔고요. 조과차가 매우 많네요. 사이즈는 베리굿입니다. 평일도 매일 출조하며 자리 여유있으니 문의 주세요. 익일 갑자기 3자리가 났네요. 문의 주세요. 안슨장 01071721302 전화주시면 친절히 상담해 드리겠습니다.감사합니다. ======= 블랙이글스호 예약안내 ==========45년 베테랑! 공현진항 블랙이글스호 항상 최선을 다해 모시겠습니다. ☎ 휴대전화 : 010-7172-1302☞ 실시간 예약 : http://eagles.sunsang24.com■ 오시는길 : 강원도 고성군 죽왕면 공현진리 공현진항 안가네가족횟집■ 계좌안내 : 수협 / 001071721302
공현진항 안슨장입니다. 1일자 어구가자미 대박조과입니다. 음청나왔네요. 사이즈도 너무 좋고, 다음주 평일 자리 여유있고 매일 출조하니 문의 주세요. 안슨장 01071721302 전화주시면 친절히 상담해 드리겠습니다. 감사합니다. ======= 블랙이글스호 예약안내 ==========45년 베테랑! 공현진항 블랙이글스호 항상 최선을 다해 모시겠습니다. ☎ 휴대전화 : 010-7172-1302☞ 실시간 예약 : http://eagles.sunsang24.com■ 오시는길 : 강원도 고성군 죽왕면 공현진리 공현진항 안가네가족횟집■ 계좌안내 : 수협 / 001071721302
안녕하세요 블랙이글스호 찰리선장입니다 26년1월1일 대구사냥은낚미인 낚시회원님들과 함께다녀왔습니다초릿대끝에 고드름이 생길정도로 추웠습니다다행히도 바람이 약해서 끝까지 사냥할수있었습니다조과물은 요즘시즌 치고는 양호해꾸요낚미인 회원님들의 실력과 열정으로 만들어낸 조항이라 마니값지네요정말 추웠는데 고생마니하셨습니다내일은 기상악화로 출항을 못합니다ㄷㅐ구라바 문의 언제든편하게 저나주세요찰리선장 010-2128-8395======= 블랙이글스호 예약안내 ==========45년 베테랑! 공현진항 블랙이글스호 항상 최선을 다해 모시겠습니다. ☎ 휴대전화 : 010-7172-1302☞ 실시간 예약 : http://eagles.sunsang24.com■ 오시는길 : 강원도 고성군 죽왕면 공현진리 공현진항 안가네가족횟집■ 계좌안내 : 수협 / 001071721302
공현진항 안슨장호입니다. 금일 어구가자미 다녀왔고요. 오늘은 어제와 다르게 어군이 꾸준히 이어졌네요. 일단 가자미 사이즈 좋았고요. 조과차는 물론 있으니 그래도 꾸준히 줄타는사람 낱마리 나오는 사람 다양했네요. 평일도 매일 출조하니 문의 주세요안슨장 01071721302 전화주시면 친절히 상담해 드리겠습니다. 감사합니다. ======= 블랙이글스호 예약안내 ==========45년 베테랑! 공현진항 블랙이글스호 항상 최선을 다해 모시겠습니다. ☎ 휴대전화 : 010-7172-1302☞ 실시간 예약 : http://eagles.sunsang24.com■ 오시는길 : 강원도 고성군 죽왕면 공현진리 공현진항 안가네가족횟집■ 계좌안내 : 수협 / 001071721302
안녕하세요 블랙이글스호 찰리선장입니다 12월30일대구조항은 양호했습니다 바람도쎄고 너울도심해서 흘리지 못하고 배를잡고 낚시하느냐고 개인덩어리사진도 못찍고 쿨러사진도 못찍은 조사님도 계시네요마니잡으신분은 10마리정도 못잡으신분은1마리네요덩어리는 배전체에서10마리정도 입니다대구조항이 퐁당퐁당하네요먼길 찾아주신 우리조사님들 항시 재미지게놀다 가셨으면...선장들의 마음입니다 ㄷㅐ구라바 문의 언제든 편하게저나주세요찰리선장 010-2128-0395======= 블랙이글스호 예약안내 ==========45년 베테랑! 공현진항 블랙이글스호 항상 최선을 다해 모시겠습니다. ☎ 휴대전화 : 010-7172-1302☞ 실시간 예약 : http://eagles.sunsang24.com■ 오시는길 : 강원도 고성군 죽왕면 공현진리 공현진항 안가네가족횟집■ 계좌안내 : 수협 / 001071721302
안녕하세요 블랙이글스호 찰리선장입니다 오늘조항은 어제보다 마니 떨어지네요쿨러사진도 못찍었네요덩어리2마리 5짜.잔바리 총15마리정도네요추운날씨에 조항도 떨어지고 고생들많으셨습니다내일을 기대하며....ㄷㅐ구라바 문의 언제든편하게 저나주세요찰리선장 010-2128-0395======= 블랙이글스호 예약안내 ==========45년 베테랑! 공현진항 블랙이글스호 항상 최선을 다해 모시겠습니다. ☎ 휴대전화 : 010-7172-1302☞ 실시간 예약 : http://eagles.sunsang24.com■ 오시는길 : 강원도 고성군 죽왕면 공현진리 공현진항 안가네가족횟집■ 계좌안내 : 수협 / 001071721302
공현진항 안슨장입니다. 오늘은 어제와 다르게 어군이 들어올때까지 꾸준히 나왔고, 입질도 꾸준히 왔네요. 무엇보다 사이즈가 베리구였습니다. 익일 30, 31일 자리 있으니 문의 주세요. 안슨장 01071721302 전화주시면 친절히 상담해 드리겠습니다. 감사합니다. ======= 블랙이글스호 예약안내 ==========45년 베테랑! 공현진항 블랙이글스호 항상 최선을 다해 모시겠습니다. ☎ 휴대전화 : 010-7172-1302☞ 실시간 예약 : http://eagles.sunsang24.com■ 오시는길 : 강원도 고성군 죽왕면 공현진리 공현진항 안가네가족횟집■ 계좌안내 : 수협 / 001071721302
안슨장입니다 오늘은 어군이 짧아서 좀 힘든 날였네요. 그래도 어군 들어오면 우당탕탕~~아쉽긴해도 사이즈는 굿굿이네요. 화요일/수요일 자리 여유있으니 문의 주세요. 안슨장 01071721302 전화주시면 친절히 상담해드리겠습니다. 감사합니다. ======= 블랙이글스호 예약안내 ==========45년 베테랑! 공현진항 블랙이글스호 항상 최선을 다해 모시겠습니다. ☎ 휴대전화 : 010-7172-1302☞ 실시간 예약 : http://eagles.sunsang24.com■ 오시는길 : 강원도 고성군 죽왕면 공현진리 공현진항 안가네가족횟집■ 계좌안내 : 수협 / 001071721302
안녕하세요 블랙이글스호 찰리선장입니다 오랜만에 대구조항올립니다간만에 좀나왔네요 덩어리10마리 5짜.잔바리포함 총35마리정도 올린것같습니다요즘 조항이 안좋아서 조항을 못올려습니다죄송합니다대구조항이 좋아졌으면 행복하겠습니다조사님들 멀리서 어려운 발걸음 하셨는데 재미지게 놀다가셨으면하는 모든선장들의 마음입니다ㄷㅐ구라바 문의 언제든편하게저나주세요찰리선장 010-2128-0395======= 블랙이글스호 예약안내 ==========45년 베테랑! 공현진항 블랙이글스호 항상 최선을 다해 모시겠습니다. ☎ 휴대전화 : 010-7172-1302☞ 실시간 예약 : http://eagles.sunsang24.com■ 오시는길 : 강원도 고성군 죽왕면 공현진리 공현진항 안가네가족횟집■ 계좌안내 : 수협 / 001071721302
공현진항 블랙이글스선단 안슨장입니다, 금일 어구가자미는 꾸준히 올라왔네요. 어군보이면 줄줄타고, 어군이 좀 약하면 3~5마리 낱마리 나오고 그랬네요. 사이즈도 전반적으로 좋았습니다. 오랜만에 즐겁게 낚시하고 왔네요. 다음주 30,31일 자리 여유있으니 문의 주세요. 안슨장 01071721302 전화주시면 친절히 상담해 드리겠습니다. 감사합니다. ======= 블랙이글스호 예약안내 ==========45년 베테랑! 공현진항 블랙이글스호 항상 최선을 다해 모시겠습니다. ☎ 휴대전화 : 010-7172-1302☞ 실시간 예약 : http://eagles.sunsang24.com■ 오시는길 : 강원도 고성군 죽왕면 공현진리 공현진항 안가네가족횟집■ 계좌안내 : 수협 / 001071721302
공현진항 안슨장입니다. 25,26일은 기상악화였고 익일 부터 정상출조 합니다. 늘 그렇듯 조과차가 많이 나네요. 그래도 요즘 사이즈가 좋으니 쿨러가 어느정도 차네요. 주말동안 자리 있으니 문의 주세요. 안슨장 01071721302 전화주시면 친절히 상담해 드리겠습니다. 감사합니다. ======= 블랙이글스호 예약안내 ==========45년 베테랑! 공현진항 블랙이글스호 항상 최선을 다해 모시겠습니다. ☎ 휴대전화 : 010-7172-1302☞ 실시간 예약 : http://eagles.sunsang24.com■ 오시는길 : 강원도 고성군 죽왕면 공현진리 공현진항 안가네가족횟집■ 계좌안내 : 수협 / 001071721302
안슨장입니다. 금일 소수인원으로 어구가자미 출조다녀왔네요. 사이즈 굿이고, 줄줄줄 올라오네요. 익일 자리 여유있습니다. 문의 주세요. 안슨장 01071721302 전화주시면 친절히 상담해 드리겠습니다. 감사합니다. ======= 블랙이글스호 예약안내 ==========45년 베테랑! 공현진항 블랙이글스호 항상 최선을 다해 모시겠습니다. ☎ 휴대전화 : 010-7172-1302☞ 실시간 예약 : http://eagles.sunsang24.com■ 오시는길 : 강원도 고성군 죽왕면 공현진리 공현진항 안가네가족횟집■ 계좌안내 : 수협 / 001071721302
안슨장입니다 금일 대구 타이라바 다녀왔고요. 사이즈는 그래도 좋은 놈으로 몇 마리 올라왔고요. 중/소대구 좀 나왔네요. 늘 아쉬움은 있지만 오늘은 더욱더 그랬네요. 기대해 볼만한 사이즈 랜딩중에 수차례 떨구어 아쉬운 출조 였네요. 익일 도 열심히 달려보겠습니다. 안슨장호는 다음주 월/화까지 대구타이라바 진행하고 24일부터 어구가자미 출조하니 많은 관심 부탁드립니다. 타 선사에서 출조하니 사이즈 좋다고 하네요. 킬로수도 7~15킬로까지 잡았다고 하네요. 안슨장 01071721302 전화주시면 친절히 상담해 드리겠습니다. 감사합니다. ======= 블랙이글스호 예약안내 ==========45년 베테랑! 공현진항 블랙이글스호 항상 최선을 다해 모시겠습니다. ☎ 휴대전화 : 010-7172-1302☞ 실시간 예약 : http://eagles.sunsang24.com■ 오시는길 : 강원도 고성군 죽왕면 공현진리 공현진항 안가네가족횟집■ 계좌안내 : 수협 / 001071721302
기상이 데일리로 오락가락한 상태네요. 어제자 조과입니다. 마릿수는 좀 아쉽긴 했어도 사이즈가 좋았네요. 다음주 평일도 소수인원으로 지속적으로 출조하니 문의 주세요. 안슨장호 01071721302 전화 주시면 친절히 상담해 드리겠습니다. 감사합니다. ======= 블랙이글스호 예약안내 ==========45년 베테랑! 공현진항 블랙이글스호 항상 최선을 다해 모시겠습니다. ☎ 휴대전화 : 010-7172-1302☞ 실시간 예약 : http://eagles.sunsang24.com■ 오시는길 : 강원도 고성군 죽왕면 공현진리 공현진항 안가네가족횟집■ 계좌안내 : 수협 / 001071721302
안녕하세요 블랙이글스호 찰리선장입니다 기상이 안좋아서 10일.13일 다녀왔습니다요즘 조항은 그럭저럭입니다어복챙겨오신분과 낚시실력이 있으신분은 좀잡으시고요깜박하시고 어복 못챙기시면 조항이 안좋으시네요위 사진은 2일치 사진입니다놀러오실때 어복 꼭챙기세요ㄷㅐ구라바 문의 언제든 편하게저나주세요찰리선장 010-2128-0395======= 블랙이글스호 예약안내 ==========45년 베테랑! 공현진항 블랙이글스호 항상 최선을 다해 모시겠습니다. ☎ 휴대전화 : 010-7172-1302☞ 실시간 예약 : http://eagles.sunsang24.com■ 오시는길 : 강원도 고성군 죽왕면 공현진리 공현진항 안가네가족횟집■ 계좌안내 : 수협 / 001071721302
안녕하세요 블랙이글스호 찰리선장입니다 오랜만에 조항 올립니다대구조항이 그럭저럭해서 안올려꾸요최근4일간은 너무너무 저조해서 못올렸습니다오늘은 잘잡으신분이 18키로정도고요7분의 조사님들은 좀힘들었네요바람이 마니불어서 고생들 많으셨습니다좋은날이 오게쬬ㄷㅐ구라바 문의 언제든 편하게 저나주세요찰리선장010-2128-0395======= 블랙이글스호 예약안내 ==========45년 베테랑! 공현진항 블랙이글스호 항상 최선을 다해 모시겠습니다. ☎ 휴대전화 : 010-7172-1302☞ 실시간 예약 : http://eagles.sunsang24.com■ 오시는길 : 강원도 고성군 죽왕면 공현진리 공현진항 안가네가족횟집■ 계좌안내 : 수협 / 001071721302
공현진항 안슨장호입니다 요즘 조과가 굉장히 저조했으나 오늘은 좀 나와줬네요. 낚시 줄이 꼬이면서 터지는 경우도 너무 많았지만 그래도 덩어리들이 좀 올라왔네요. 사이즈는 딱 1미터 되는것도 올라왔고 8자, 7자 다양하게 대꾸리들만 10여수 올라왔네요.익일 월요일은 기상악화고 화요일부터 정상출조합니다. 점점 조항이 좋아지고 있으니 조만간 터질거 같네요. 놀러들 오세요. 안슨장 01071721302 전화주시면 친절히 상담해 드리겠습니다. 감사합니다. ======= 블랙이글스호 예약안내 ==========45년 베테랑! 공현진항 블랙이글스호 항상 최선을 다해 모시겠습니다. ☎ 휴대전화 : 010-7172-1302☞ 실시간 예약 : http://eagles.sunsang24.com■ 오시는길 : 강원도 고성군 죽왕면 공현진리 공현진항 안가네가족횟집■ 계좌안내 : 수협 / 001071721302
공현진항 안슨장호 입니다. 오늘은 대구지깅 다녀왔고요. 중간중간 우당탕탕하고 전원히트까지 왔으나 바람 터지면서 쉽지는 안은 상황이였네요. 다음주 평일 소수인원으로 대구타이라바 매일 출조하니 문의 주세요. 안슨장 01071721302 전화 주시면 친절히 상담해 드리갰습니다. 감사합니다. ======= 블랙이글스호 예약안내 ==========45년 베테랑! 공현진항 블랙이글스호 항상 최선을 다해 모시겠습니다. ☎ 휴대전화 : 010-7172-1302☞ 실시간 예약 : http://eagles.sunsang24.com■ 오시는길 : 강원도 고성군 죽왕면 공현진리 공현진항 안가네가족횟집■ 계좌안내 : 수협 / 001071721302


























