조황관리HOME / 조황관리 / 상세정보

제목 : 31일 공현진항 안슨장호 어구가자미 조과입니다
등록일 : 2025-12-31




























































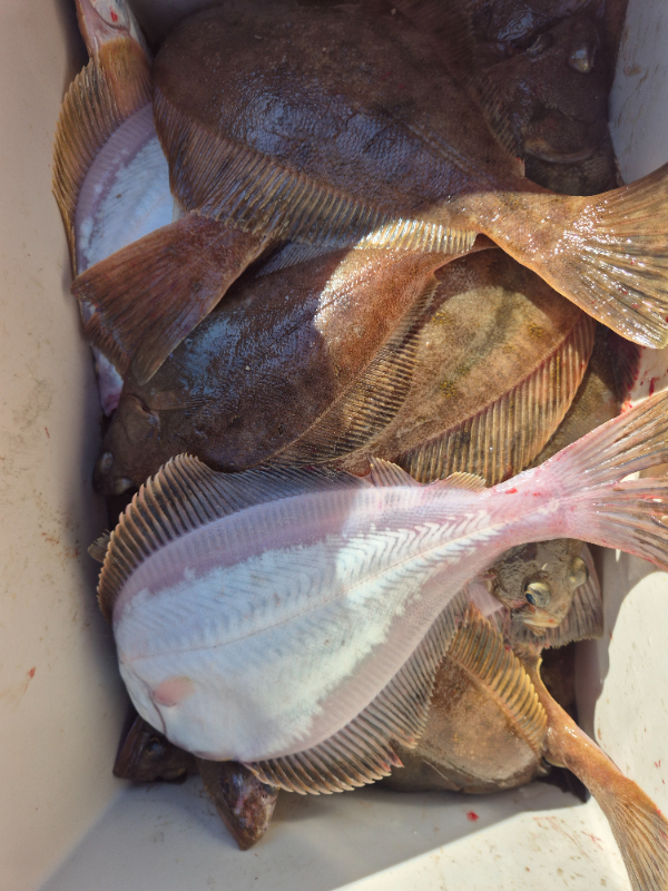
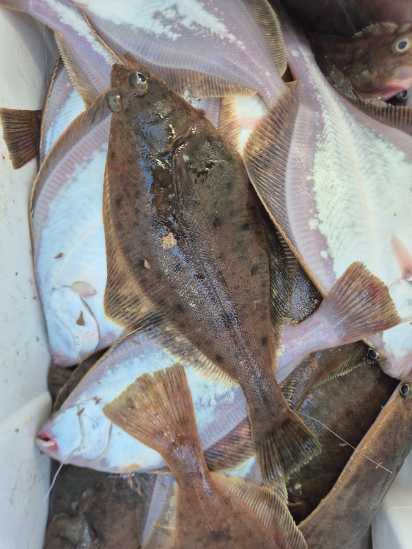
공현진항 안슨장호입니다. 
금일 어구가자미 다녀왔고요. 오늘은 어제와 다르게 어군이 꾸준히 이어졌네요. 
일단 가자미 사이즈 좋았고요. 조과차는 물론 있으니 그래도 꾸준히 줄타는사람 낱마리 나오는 사람 다양했네요. 
평일도 매일 출조하니 문의 주세요
안슨장 01071721302 전화주시면 친절히 상담해 드리겠습니다. 
감사합니다. 


======= 블랙이글스호 예약안내 ==========

45년 베테랑! 공현진항 블랙이글스호
항상 최선을 다해 모시겠습니다.

☎ 휴대전화 : 010-7172-1302
☞ 실시간 예약 : http://eagles.sunsang24​.com
■ 오시는길 : 강원도 고성군 죽왕면 공현진리 공현진항 안가네가족횟집
■ 계좌안내 : 수협 / 001071721302
20240117_093745.jpg


cacb83270b9844d2b87182320465be9af2cda9415bd883b2f752a02ad562e799_1.jpg


Top