조황관리HOME / 조황관리 / 상세정보

제목 : 24일 공현진항 안슨장호 어구가자미 조과입니다.
등록일 : 2026-01-24




























































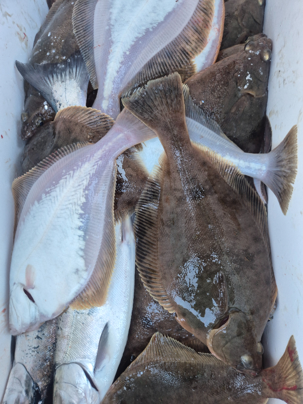
공현진항 안슨장입니다. 
오늘은 사이즈가 베리베리 굿였네요.
마릿수도 좋았고, 어군이 꾸준히 나와줬습니다. 
조과 편차는 좀 이었고요. 많이 잡으신분은 쿨러 거의다 채우신 분들도 있었네요.
익일 몇자리 있고, 평일 날씨 좋네요. 한파도 어느정도 풀리는 상황이니 가자미 연 날리러 오세요. 
예약문의 안슨장 01071721302 
전화주시면 친절히 상담해 드리겠습니다. 
감사합니다.  
======= 블랙이글스호 예약안내 ==========

45년 베테랑! 공현진항 블랙이글스호
항상 최선을 다해 모시겠습니다.

☎ 휴대전화 : 010-7172-1302
☞ 실시간 예약 : http://eagles.sunsang24​.com
■ 오시는길 : 강원도 고성군 죽왕면 공현진리 공현진항 안가네가족횟집
■ 계좌안내 : 수협 / 001071721302
20240117_093745.jpg


cacb83270b9844d2b87182320465be9af2cda9415bd883b2f752a02ad562e799_1.jpg


Top