조황관리HOME / 조황관리 / 상세정보

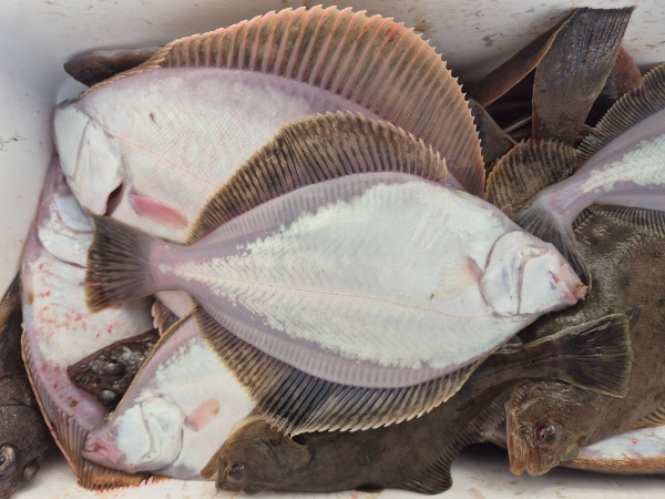
제목 : 25일 공현진항 블랙이글스선단 안슨장호 어구가자미 대박이네요.
등록일 : 2026-01-25













































공현진항 안슨장호 입니다.
어군 형성도 굉장히 좋았고 무엇보다 씨알이 대박이네요.
줄줄나오네요.
평일 날씨굿이고 한파도 좀 풀린다네요.
매일출조하고 자리 여유있으니 문의주세요
01071721302


======= 블랙이글스호 예약안내 ==========

45년 베테랑! 공현진항 블랙이글스호
항상 최선을 다해 모시겠습니다.

☎ 휴대전화 : 010-7172-1302
☞ 실시간 예약 : http://eagles.sunsang24​.com
■ 오시는길 : 강원도 고성군 죽왕면 공현진리 공현진항 안가네가족횟집
■ 계좌안내 : 수협 / 001071721302
20240117_093745.jpg


cacb83270b9844d2b87182320465be9af2cda9415bd883b2f752a02ad562e799_1.jpg


Top