조황관리HOME / 조황관리 / 상세정보

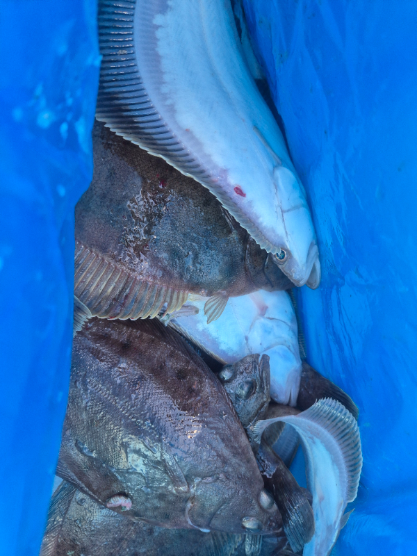
제목 : 9일 공현진항 안슨장호 어구가자미입니다.
등록일 : 2026-02-09













































고성 안슨장입니다. 
금일 바람예보가 없었으나 바람 음청 불었네요. 그나마 다행은 날이 확실히 영상기온으로 
올라가면서 덜 추워던거 같아요. 
오늘은 오전에 씨알좋은 놈으로 낱마리 나오다 중간중간 뜬어군 들어와서 수심 잘 맞추면 줄줄줄 나왔던거 같아요. 
그리고 지속적으로 낱마리 였네요. 
이번주도 날씨 지속 좋고 영상기온입니다. 
매일 출조하니 문의 주세요. 
안슨장 01071721302 전화주시면 친절히 상담해 드리겠습니다. 
감사합니다. 
======= 블랙이글스호 예약안내 ==========

45년 베테랑! 공현진항 블랙이글스호
항상 최선을 다해 모시겠습니다.

☎ 휴대전화 : 010-7172-1302
☞ 실시간 예약 : http://eagles.sunsang24​.com
■ 오시는길 : 강원도 고성군 죽왕면 공현진리 공현진항 안가네가족횟집
■ 계좌안내 : 수협 / 001071721302
20240117_093745.jpg


cacb83270b9844d2b87182320465be9af2cda9415bd883b2f752a02ad562e799_1.jpg


Top