조황관리HOME / 조황관리 / 상세정보

제목 : 8일 공현진항 안슨장호 대구타이라바 조과입니다.
등록일 : 2026-03-08

























































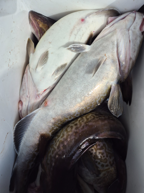
공현진항 안슨장호 대구타이라바 다녀왔고요. 
오늘은 조류가 좀 아쉬워서 그렇지 조과는 좋았네요. 
포인트 흘릴때마다 5~7수 꾸준히 나와줬고, 중간중간 우당탕 동시에 5~7 힛뚜~~
오늘 간만에 즐거운 낚시하고 왔네요. 
이번주 지속해서 출조하며 날씨 굿입니다. 
익일도 자리 여유있으니 문의 주세요. 
안슨장 01071721302 전화주시면 친절히 상담해 드리겠습니다. 
감사합니다. 
======= 블랙이글스호 예약안내 ==========

45년 베테랑! 공현진항 블랙이글스호
항상 최선을 다해 모시겠습니다.

☎ 휴대전화 : 010-7172-1302
☞ 실시간 예약 : http://eagles.sunsang24​.com
■ 오시는길 : 강원도 고성군 죽왕면 공현진리 공현진항 안가네가족횟집
■ 계좌안내 : 수협 / 001071721302
20240117_093745.jpg


cacb83270b9844d2b87182320465be9af2cda9415bd883b2f752a02ad562e799_1.jpg


Top